Menomonee Falls Wisconsin Homepage
Search
News Flash Home
The original item was published from 8/19/2020 8:33:23 AM to 8/19/2020 8:40:26 AM.

News Flash

Village News

Posted on: August 13, 2020

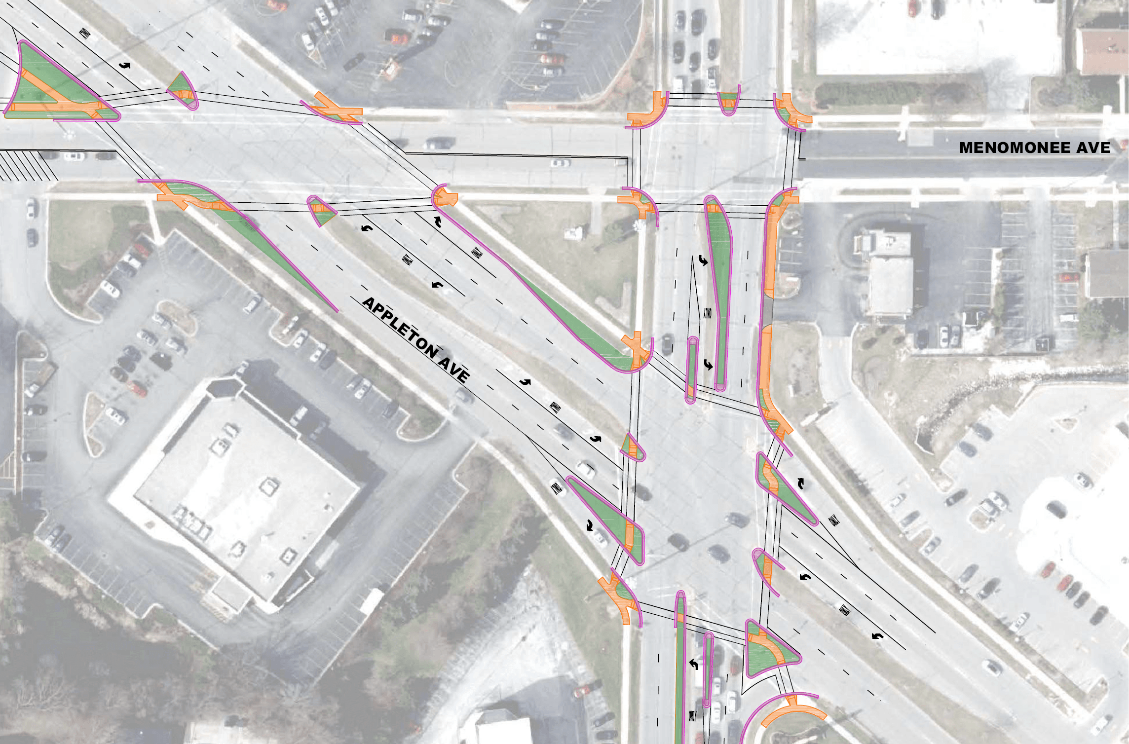
[ARCHIVED] Overnight Closures for the Appleton & Pilgrim Intersection Project

Appleton and Pilgrim Intersection Reconstruction Overview

If weather conditions don’t change the schedule, the overnight work at the intersection will proceed as follows:

  • Thursday, August 20th from 9:00 pm – 5:30 am 
  • Friday, August 21st from 9:00 pm – 5:30 am 
  • Saturday, August 22nd from 9:00 pm – 5:30 am

The intent is a full road closure in all directions during the night work with reopening by 6:00 am the following mornings. This aim of this plan is to alleviate the worst traffic congestion by completing the work over three nights when traffic volumes are typically lower.

Facebook Twitter Email

Other News in Village News

explore mf

Explore Menomonee Falls

Posted on: January 21, 2026
Leaf Collection

Leaf Collection Update (12-2-25)

Posted on: December 2, 2025
  1. Menomonee Falls Wisconsin Homepage

Contact Us

  1. Village of Menomonee Falls
    W156 N8480 Pilgrim Road
    Menomonee Falls, WI 53051-3140

    Phone: 262-532-4200

    Monday - Friday
    8 a.m - 4:30 p.m.
Government Websites by CivicPlus®
Arrow Left Arrow Right
Slideshow Left Arrow Slideshow Right Arrow